Brug af fjernprintskabelon

Fjernprintudbydere kan have forskellige specifikke krav til sideopsætning i forhold til fjernprintforsendelser. Derfor anbefales det altid at tjekke, hvilke krav den valgte udbyder har, og at sikre at oprettede og godkendte fjernprintsskabeloner i F2 overholder disse krav. Med F2 Fjernprint anvendes den sideopsætning og dokumentskabelon som Strålfors udbyder.

Dokumentskabeloner øger produktiviteten, da de sikrer, at dokumentet lever op til fjernprintudbyderens specifikke krav inden afsendelse til fjernprint. En dokumentskabelon kan oprettes enten som hoveddokument eller som et bilag til brug ved korrespondance via fjernprint.

Med Strålfors som udbyder skal afsenderen blandt andet være opmærksom på følgende:

  • Der skal være plads til modtagers adresse i hoveddokumentet (altså det vedhæftede dokument, der udgør afsenders brev).

  • Der skal være en bestemt størrelse på margen i hoveddokumentet og bilag.

En forsendelse, der ikke er godkendt af fjernprintudbyderen, bliver afvist eller stoppet af denne, og F2 giver besked retur om afvisningen.

Læs mere om oprettelse af dokumentskabeloner her.

Udpeg og godkend dokumentskabelon til fjernprint

En bruger med privilegiet ”Skabelonadministrator” kan godkende en dokumentskabelon til fjernprint ved at gøre følgende:

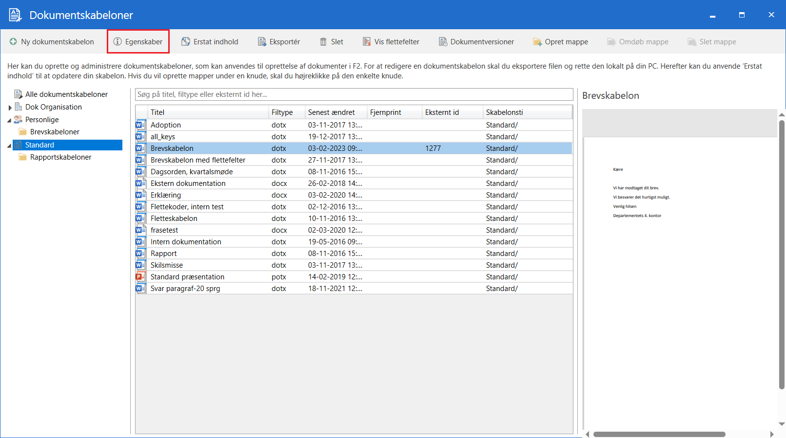
Klik på Dokumentskabeloner på fanen ”Indstillinger” i F2’s hovedvindue, hvorefter dialogen ”Dokumentskabeloner” åbner. Vælg den dokumentskabelon, der skal bruges til fjernprint, og klik på Egenskaber, som vist i figuren nedenfor.

templates
Figur 1. Udpeg dokumentskabelon til brug ved fjernprint

Dialogen ”Dokumentegenskaber” åbner. Klik på dropdown-menuen i feltet ”Godkendt som”, og vælg om skabelonen skal godkendes som ”Hoveddokument” eller ”Bilag”. Klik på Gem for at gemme skabelonen og lukke dialogen.

properties
Figur 2. Godkend dokumentskabelon som hoveddokument/bilag

Når en dokumentskabelon godkendes som hoveddokument til fjernprint i F2, betyder det, at dokumentskabelonen lever op til fjernprintudbyderens krav til layout. Hoveddokumentet udformes som et fysisk brev, hvor adressatoplysningerne skal være synlige.

Godkendes en dokumentskabelon til bilag indebærer det, at den har en bestemt størrelse på margen.

Krav til vedhæftninger på akt til fjernprint

Når der skal sendes et brev via fjernprint, oprettes en ny akt i F2. Brevet skal ikke skrives ind i selve aktdokumentet, da det ikke sendes med.

I stedet skal et eller flere dokumenter tilføjes til akten, som på den måde danner grundlag for brevet. Det er kun de vedhæftede dokumenter, der sendes, og derfor skal en fjernprintforsendelse indeholde mindst ét tilføjet dokument.

Når der skal tilføjes et eller flere dokumenter til akten, udpeges en dokumentskabelon, der er lavet og godkendt til fjernprint, som beskrevet ovenfor.

Er der tilføjet flere dokumenter til akten, er det vigtigt at være opmærksom på rækkefølgen af de vedhæftede dokumenter, da det er det første vedhæftede dokument (hoveddokumentet), der vises som selve brevet.

Ved afsendelse fra F2 til fjernprint sendes de vedhæftede dokumenter automatisk som PDF-filer. F2 advarer afsender, hvis der ikke kan dannes en PDF-udgave af dokumenterne.

Det er vigtigt, at afsender er opmærksom på aktens samlede forsendelsesstørrelse, da der er en begrænsning hos fjernprintudbyderen for afsendelse til fjernprint fra F2. Dette kan ses hos den relevante fjernprintudbyder.